허브 종류와 효능 자세히 알아보기
허브는 독특한 향을 가진 식물로서, 생으로 사용하거나 건조한 상태 음식의 맛을 개선시키는 데 활용됩니다. 오늘은 이러한 허브 종류와 효능에 대해서 자세히 살펴보도록 하겠습니다.


허브란?
허브라는 이름은 라틴어 허바에서 유래한 표현으로 '푸른 풀'을 의미합니다. 허브는 과거부터 진통, 진정, 방부, 살충 등 다양한 의료 목적으로 사용되었던 식물이었습니다. 허브의 종류는 굉장히 다양하여 식물 중에서 허브로 분류되는 것은 때로 예상치 못한 종류도 포함됩니다. 허브는 단순히 관상용으로 쓰이지 않고 요리에 사용되거나 아로마테라피의 일환으로 활용되는 다재다능한 식물입니다.
허브 종류
허브 종류 ① 애플민트
애플민트는 사과와 페퍼민트를 섞은 향기로 인해 이러한 이름이 붙었습니다. 이 허브는 주로 생선, 고기, 계란 요리의 조리 시 향료로 활용되며, 육류 요리의 젤리, 식초, 소스 등에 사용됩니다. 또한 애플민트 잎은 철분, 칼슘, 칼륨, 비타민 A와 C를 함유하고 있어 우리 몸의 정화에 도움을 줍니다.


허브 종류 ② 바질
다진 바질과 올리브 오일로 만들어지는 바질 페스토는 이탈리아 요리에서 중요한 소스 중 하나로 간주됩니다. 이 소스는 고기와 생선 요리의 비린내를 제거하는 데 효과적입니다. 바질 씨앗은 다이어트 식품으로도 인기가 있으며, 바질의 항산화 특성은 노화를 예방하는 데 도움이 됩니다. 또한, 바질에는 칼슘, 철분, 비타민 C가 풍부하여 염증 및 신경통 완화에도 효과가 뛰어납니다.


허브 종류 ③ 세이지
세이지는 일반적으로 소시지에서 그 이름을 얻은 허브로, 고대 그리스와 로마 시대부터 만병 통치약으로 사용되어 왔습니다. 특히 내장 요리, 육류 요리, 햄 요리와 같은 동물성 식품을 조리할 때 사용되며 소화를 촉진하고 요리에 풍미를 더합니다.
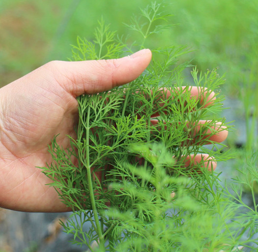
허브 종류 ④ 딜
딜은 진정시키다는 뜻의 고대 스칸디나비아 단어에서 비롯되었습니다. 향이 강하며, 해산물과의 어울림이 뛰어납니다. 유럽에서는 딜을 오이 절임의 풍미를 높이기 위해 고명으로 자주 사용합니다. 딜 씨에는 칼슘이 풍부하여 뼈 건강에 도움이 되며, 구취를 줄이고 소화를 개선해 줍니다. 또한, 플라보노이드와 B군 비타민이 풍부하여 몸과 두뇌를 진정시키는 데 도움이 됩니다.


허브 종류 ⑤ 타임(백리향)
타임은 특유의 향기로 인해 향기가 백리까지 퍼진다고 하여 백리향으로도 불립니다. 이 허브는 주로 고기 요리와 차 요리에 사용되며, 또한 아로마 세라피용 오일로 활용됩니다. 타임은 기침 및 가래 증상을 완화시키는데 효과적이라고 알려져 있습니다. 다만 그 향기가 강하기 때문에 샐러드나 생선 요리에는 적합하지 않습니다. 또한, 타임은 스트레스 해소와 불면증에도 좋다고 합니다.


허브 종류 ⑥ 타라곤
타라곤은 프랑스 요리에서 널리 사용되는 네 가지 주요 향신료 중 하나로 쓰입니다. 타라곤은 전통적으로 치통 완화에 사용되어 왔으며 특히 고대 그리스인들이 주로 이를 이용해 치통을 치료했습니다. 타라곤은 항산화 및 소화 개선 효능을 갖고 있으며, 식초에 숙성시킨 타라곤 식초는 전 세계에서 귀한 맛의 재료로 여겨지며 주로 생선이나 소스에 사용됩니다.
허브 종류 ⑦ 파슬리
파슬리의 줄기는 잎보다 냄새가 더 강하여 버리지 말고 야채 육수에 넣어 사용하는 것이 좋습니다. 파슬리는 칼슘과 비타민 C 함유량이 높아 뼈 건강과 항염증 효과를 가지고 있습니다. 또한 면역 체계를 강화해 주는 철분, 칼륨 등 미네랄이 풍부하여 심장 및 혈관 건강에 도움을 주고 몸의 붓기도 완화시켜 줍니다. 파슬리는 이탈리안 요리에서 잎을 갈아 다양한 요리에 사용되는 허브입니다.


허브 종류 ⑧ 오레가노
오레가노는 페퍼민트와 유사한 향과 톡 쏘는 매운맛을 가진 허브로, 주로 이탈리아, 스페인, 멕시코 요리와 피자에 향신료로 널리 사용됩니다. 오레가노는 비타민 B가 풍부하여 통증 및 오한 완화에 도움을 주며, 시라놀과 리놀레산과 같은 성분도 함유되어 있어서 관절염 예방 및 부종 감소에 기여합니다. 뿐만 아니라, 오레가노는 강력한 항균 특성을 지니고 있어 식중독을 예방하는 데도 도움을 줄 수 있습니다.


허브 종류 ⑨ 차이브
차이브에는 풍부한 식이섬유와 심장병 예방에 도움을 주는 알리신이 함유되어 있습니다. 뿐만 아니라, 칼륨이 풍부하여 유해 물질과 중금속을 체내에서 배출하는 데 도움을 줄 수 있습니다. 차이브는 우리나라에서 다양한 식품에 사용되며, 단순한 맛과 풍미를 더하기 위해 활용됩니다.
허브 종류 ⑩ 고수
고수는 동양에서는 뿌리, 줄기, 잎 모두 날것으로 사용하며, 서양에서는 가금류와 야채 요리에 활용됩니다. 그러나 고수의 독특한 향기를 싫어하는 사람들도 있습니다. 특히 중국음식이나 동남아 음식에서 많이 쓰이고 베트남 쌀국수에는 무조건 고수가 들어갑니다.


허브 효능
허브 효능 ① 항산화 효과
대다수의 허브에는 다량의 항산화제가 함유되어 있으며, 이러한 물질은 활성산소로부터 몸을 보호하는 역할을 합니다. 항산화 작용은 암, 심장병, 알츠하이머와 같은 만성 질환을 예방하는 데 도움을 줄 수 있습니다.
허브 효능 ② 항염증 효과
특정 허브들은 염증을 감소시키는 데 도움을 주는 항염증 효과를 지니고 있습니다. 만성 염증은 관절염, 당뇨병, 심장병을 포함한 건강문제와 관련이 깊으므로 이러한 항염증 효과가 문제를 해결하는데 도움을 줄 수 있습니다.
허브 효능 ③ 면역력 강화
몇몇 허브들은 면역체계를 지원하고 면역력을 증진시키는 특성을 지니고 있습니다.
허브 효능 ④ 풍부한 영양
다양한 허브들은 비타민, 미네랄 및 전반적인 건강에 중요한 영양소를 풍부하게 포함하고 있으며, 그중에서도 파슬리는 특히 철분을 풍부하게 제공하는 공급원으로 비타민 C 함유량도 높습니다.
지금까지 허브 종류와 효능에 대해서 자세히 알아보았습니다. 도움이 되셨기를 바랍니다. 읽어주셔서 감사합니다.